Description
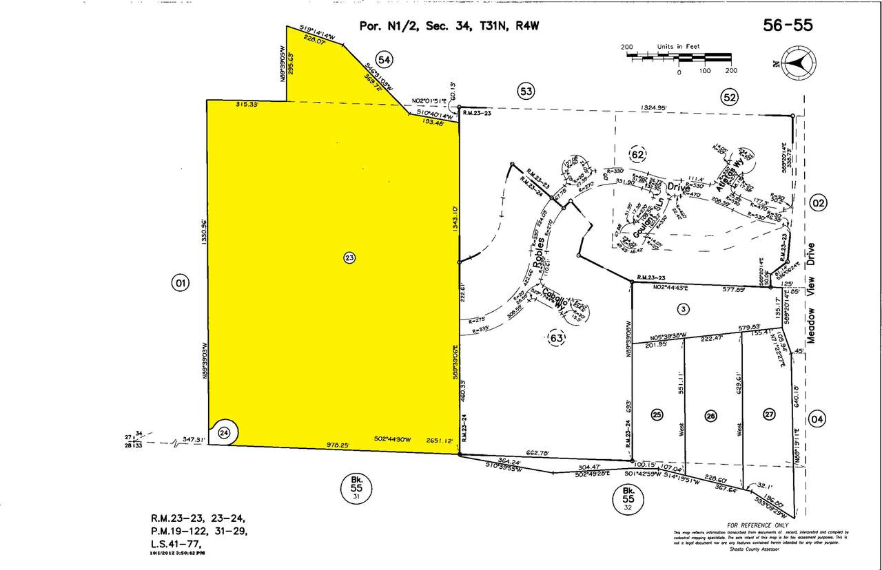
Unveil the Potential: 29.09 Acres of Prime Land in Redding, CA Discover a canvas for your vision at 7100 Amigo Way, nestled at the northern edge of the Wooded Acres North subdivision in scenic Redding, CA. This expansive 29.09-acre parcel of vacant, flat, and usable land offers a rare opportunity for investors, builders, or those seeking a private haven for their dream home. This 29.09 acres of pristine, undeveloped land is situated at the north end of the Wooded Acres North subdivision, offering a blend of privacy and community connection. Unlock the possibilities with potential for approximately 30 lots, seamlessly connecting to Wooded Acres North. Capture breathtaking views of majestic Mt. Lassen, providing a picturesque backdrop for your future endeavors.
-
0BEDS
-
29.09ACRES
-
0BATHS
-
01/2 BATHS
School Ratings & Info
Description
Unveil the Potential: 29.09 Acres of Prime Land in Redding, CA Discover a canvas for your vision at 7100 Amigo Way, nestled at the northern edge of the Wooded Acres North subdivision in scenic Redding, CA. This expansive 29.09-acre parcel of vacant, flat, and usable land offers a rare opportunity for investors, builders, or those seeking a private haven for their dream home. This 29.09 acres of pristine, undeveloped land is situated at the north end of the Wooded Acres North subdivision, offering a blend of privacy and community connection. Unlock the possibilities with potential for approximately 30 lots, seamlessly connecting to Wooded Acres North. Capture breathtaking views of majestic Mt. Lassen, providing a picturesque backdrop for your future endeavors.
IDX information © 2025 Shasta Association of Realtors MLS. Information provided is for consumers' personal, non-commercial use and may not be used for any purpose other than to identify prospective properties consumers may be interested in purchasing. All data, including all measurements and calculations of area, is obtained from various sources and has not been, and will not be, verified by broker or MLS. All information should be independently reviewed and verified for accuracy. Properties may or may not be listed by the office/agent presenting the information. Data last updated: 2025-12-06T21:58:16.277.
Licensed in the State of California.
